Hams in Philippines Support Critical Communication in Typhoon’s Wake
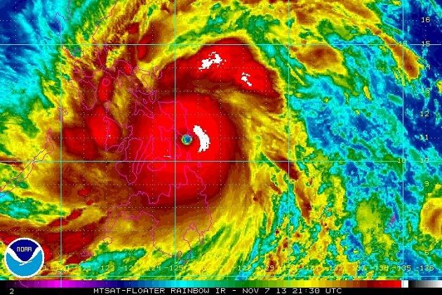
Powerful Typhoon Haiyan (called “Yolanda” locally) struck the central Philippines on November 8, leaving at least four people dead and cutting off power and communications. Ramon Anquilan, DU1UGZ, of the Philippines Amateur Radio Association (PARA), reports that the Ham Emergency Radio Operators (HERO) have been supporting authorities with reports and message-handling.
“They helped track the destructive storm, its fierce wind, rainfall, storm surges, damage, plus outages of communications and other services,” Anquilan said. “HERO network stations did this through PARA using Amateur Radio on 7.095 MHz, 144.740 MHz and via social media.” The current task is rescue and recovery.
The storm uprooted trees and brought down many power lines. Among HERO reports was news of the official preemptive evacuations along exposed coastal areas in the hours before the typhoon arrived. Others were alerted about flash floods and landslides. Authorities had warned more than 12 million people were at risk, and the disaster planning may have saved many lives.
While millions of people in 20 provinces are in shelters, the full extent of casualties and damage will take authorities several days to gather. Anquilan said Bohol and Cebu, which suffered a 7.2 magnitude earthquake in October, were among the affected regions. That disaster killed 222 and left at least 5000 sheltering in tents. The HERO Network also assisted in that disaster.
As the storm approached, Philippines President Benigno Aquino urged the population to take every possible safety measure, emphasizing the “gravity of the calamity.” The military are involved in the recovery effort, and non-government relief agencies already have pledged support. Typhoon Haiyan, the 23rd and strongest storm to hit the Philippines this year, may also affect other countries in the region. — Jim Linton, VK3PC, Chairman IARU Region 3 Disaster Communications Committee
Back





